房产
当前位置:新闻 > 房产 > 正文
贵阳筑城广场文化街区规划出炉 主打超2.7万平米全地下商业
2025-11-25 来源:中讯社

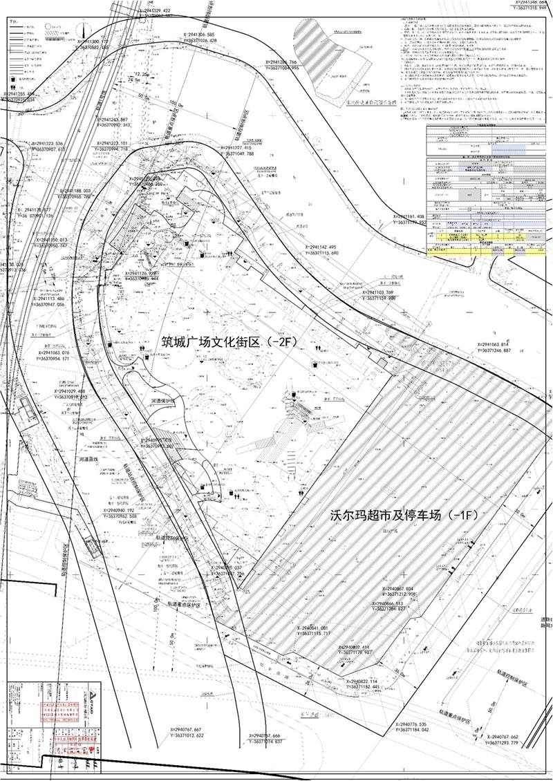
11月25日,据贵阳市自然资源和规划局消息,其发布关于贵阳市筑城广场文化街区改造工程项目规划设计方案批前公示。

图片1.jpg

公示显示,贵阳市越涧商业管理有限公司申报审查的贵阳市筑城广场文化街区改造项目总建筑面积65072.65平方米,其中车库33967.16平方米,全地下商业27825.31平方米,架空层930.56平方米,商业配套2349.62平方米(其中物业服务用房1927.01平方米,公共厕所342.61平方米,垃圾收集点80平方米),停车位803个。


责任编辑:李霞

统一服务邮件|Unified Service Email:chinanewsonline@yeah.net
Copyright@中国通讯社(香港)